Council Meetings

Agenda - April 2012 County Council Meeting

Back to Meetings
Date:
16/04/2012 15:30
Location:
Council Chamber
Standing Orders:

Headed Items

H-I (1)
Submitted by:
Community Directorate
Responsibility:
Community Directorate

CONFIRMATION AND RE-AFFIRMATION OF MINUTES

Minutes of Meeting of South Dublin County Council, 12th March 2012

H-I (2)
Submitted by:
Community Directorate
Responsibility:
Yvonne Dervan, Roads Department, Housing Administration, Planning Not is use

REPORTS  OF  AREA  COMMITTEES

a)   Rathfarnham Area Committee - 13th March 2012

Dealing with Planning, Corporate Services & Libraries, Community (1 report - Community Grants), Housing, Parks, Environment, Roads, Development & Water Services

(circulated herewith)

b)   Tallaght Area Committee (1) - 26th March, 2012

Dealing with Community (1 report - Community & Arts Grants), Environment,  Parks, Housing 

(circulated herewith)

c)   Tallaght Area Committee (2) - 26th March 2012 

Dealing with Planning, Roads, Development & Water Services, Corporate Services & Libraries 

(no report)

d)   Clondalkin Area Committee - 21st March 2012

Dealing with  Community (1 report - Community Grants), Parks, Environment, Housing, Planning, Roads, Development & Water Services, Corporate Services & Libraries

(circulated herewith)

e)   Lucan  Area Committee – 27th March 2012

Dealing with Planning, Corporate Services & Libraries, Community (1 report - Community & Arts Grants and Arts Contribution), Housing, Parks, Environment (1 report - Emergency Motion re Trade Effluent Licensing), Roads and Development & Water Services

(circulated herewith)

H-I (3)
Submitted by:
Marian Dunne
Responsibility:
Community Directorate

STANDING COMMITTEES - ORGANISATION, PROCEDURE AND FINANCE COMMITTEE MEETING 22nd MARCH 2012

a)  Calendar of Meeting Dates

b)  Report of Conferences / Seminars

(all circulated herewith)

H-I (4)
Submitted by:
Marian Dunne
Responsibility:
Community Directorate

STRATEGIC  POLICY  COMMITTEES

(H4 no reports)

H-I (5)
Submitted by:
Community Directorate
Responsibility:
Community Directorate

REPORTS REQUESTED BY AREA COMMITTEES

(H5 no reports)

Questions

Qu (1)
Submitted by:
Councillor P. Cosgrave
Responsibility:
Colm Ward

To ask the Manager to give a report on Dog Wardens in the County to include

1.  How many Dog Wardens are working in the County?

2.  How many fines for walking unleashed dogs were issued in the County?

Qu (2)
Submitted by:
Councillor A-M. Dermody
Responsibility:
John Quinlivan, Colm Ward

To ask can the Manager please state if there were outside consultants employed in the sale/disposal of the waste collection business by South Dublin County Council, if so how much was spent on those consultants, were there legal fees associated with the sale and how much were those legal fees?

Qu (3)
Submitted by:
Councillor E. Higgins
Responsibility:
Clodagh Henehan, Larry Kelly

To ask the County Manager how many homes in the County are

a) exempt from the household charge and

b) how many houses have paid it?  

Could these figures be broken down by LEA?

Qu (4)
Submitted by:
Councillor E. Higgins
Responsibility:
Michael Hannon, Brian Sheehan

To ask the County Manager when each of the 11 exercise trails being commissioned throughout the County will be installed?

Qu (5)
Submitted by:
Councillor E. Higgins
Responsibility:
Andrew O'Mullane

To ask the Manager to outline in detail procedure required to amend a schedule to the current Control of Parking Bye Laws?

Qu (6)
Submitted by:
Councillor J. Lahart
Responsibility:
Dermot Finch

To ask the Manager to estimate how many households are liable for the septic tank charge in the county and to make a statement on the matter?

Qu (7)
Submitted by:
Councillor J. Lahart
Responsibility:
Dermot Finch

To ask the Manager that if houses are flooded along a particular road, is that area subsequently designated as an area prone to flooding?

Qu (8)
Submitted by:
Councillor J. Lahart
Responsibility:
Colm Ward

To ask the Manager to present a full report on the damage to headstones in Bohernabreena Cemetery on March the 14th last in section 'N' and to outline what steps the Manager has taken to get to the bottom of the matter and to make good the damage caused to the headstones - and to further clarify as to whether the Manager has sought information/report from the Gardai regarding the matter?

Qu (9)
Submitted by:
Councillor W. Lavelle
Responsibility:
Colm Ward

To ask the Manager to provide a detailed update on Dublin Fire Brigade’s ongoing risk-based analysis of its area of operations?

Qu (10)
Submitted by:
Councillor W. Lavelle
Responsibility:
Colm Ward

To ask the Manager, further to question No. 9 at the December 2011 Council meeting, to provide a detailed update on the current programme of 24-hour noise monitoring and to further advise if any areas subject to noise pollution from roads or railways are included in this current round of monitoring?

Qu (11)
Submitted by:
Councillor W. Lavelle
Responsibility:
John McLoughlin, Paul Hogan

To ask the Manager the criteria considered when deciding on which specific projects should be the subject of funding applications to the NTA;  are requests from elected members (e.g. by way of motions at Area Committee meetings) considered;  are Development Plan objective prioritised;  and will the elected members be consulted with ahead of any future funding applications?

Qu (12)
Submitted by:
Councillor W. Lavelle
Responsibility:
Michael Hannon, Brian Sheehan

To ask the Manager for a detailed update and timeframe for the installation of exercise trails and dog-runs in our county's parks?

Qu (13)
Submitted by:
Councillor G. O'Connell
Responsibility:
Paul Hogan

To ask the Manager for a report on the current position on the implementation of Policy LHA 15 (County Development Plan 2010 – 2016) in respect of the commitment to prepare a County Biodiversity Plan following public consultation within the lifetime of the current County Development Plan and within the context of the National Biodiversity Plan?

Qu (14)
Submitted by:
Councillor G. O'Connell
Responsibility:
Paul Hogan

To ask the Manager for a report on the current position on the implementation of Policy SCR47 (County Development Plan 2010 – 2016) in respect of the Green Routes Network?

Qu (15)
Submitted by:
Councillor G. O'Connell
Responsibility:
Paul Hogan

To ask the Manager for a report on the current position on the implementation of Policy LHA 26 (County Development Plan 2010 – 2016) in respect of the commitment to “investigate the feasibility of adopting a joint management structure with Dublin City Council for the Bohernabreena Reservoirs and to report back to this chamber within two years of adopting the County Development Plan.

Qu (16)
Submitted by:
Councillor G. O'Connell
Responsibility:
Caitriona Lambert

To ask the Manager, now that the NRA have informed this Council that National Roads that are within the M50 are the responsibility of this Council, what plans does she have to maintain the median and boundaries of roads such as the N4 and the N81 in a manner and to a standard that reflects the fact that these roadways are essentially part of the adjacent residential areas?  These have been neglected and in a very disgraceful state over the last number of summers and should be properly maintained in 2012.

Headed Items

H-I (6)
Submitted by:
Community Directorate
Responsibility:
Roads Department

DECLARATION  OF  ROADS  TO  BE  PUBLIC  ROADS

Adamstown Castle, Phases 1 & 2

(circulated herewith)

H-I (7)
Submitted by:
Community Directorate
Responsibility:
Housing Administration, Development, Econ. & Transport Planning Dept.

PROPOSED  DISPOSAL  OF  PROPERTIES / SITES

(circulated herewith)

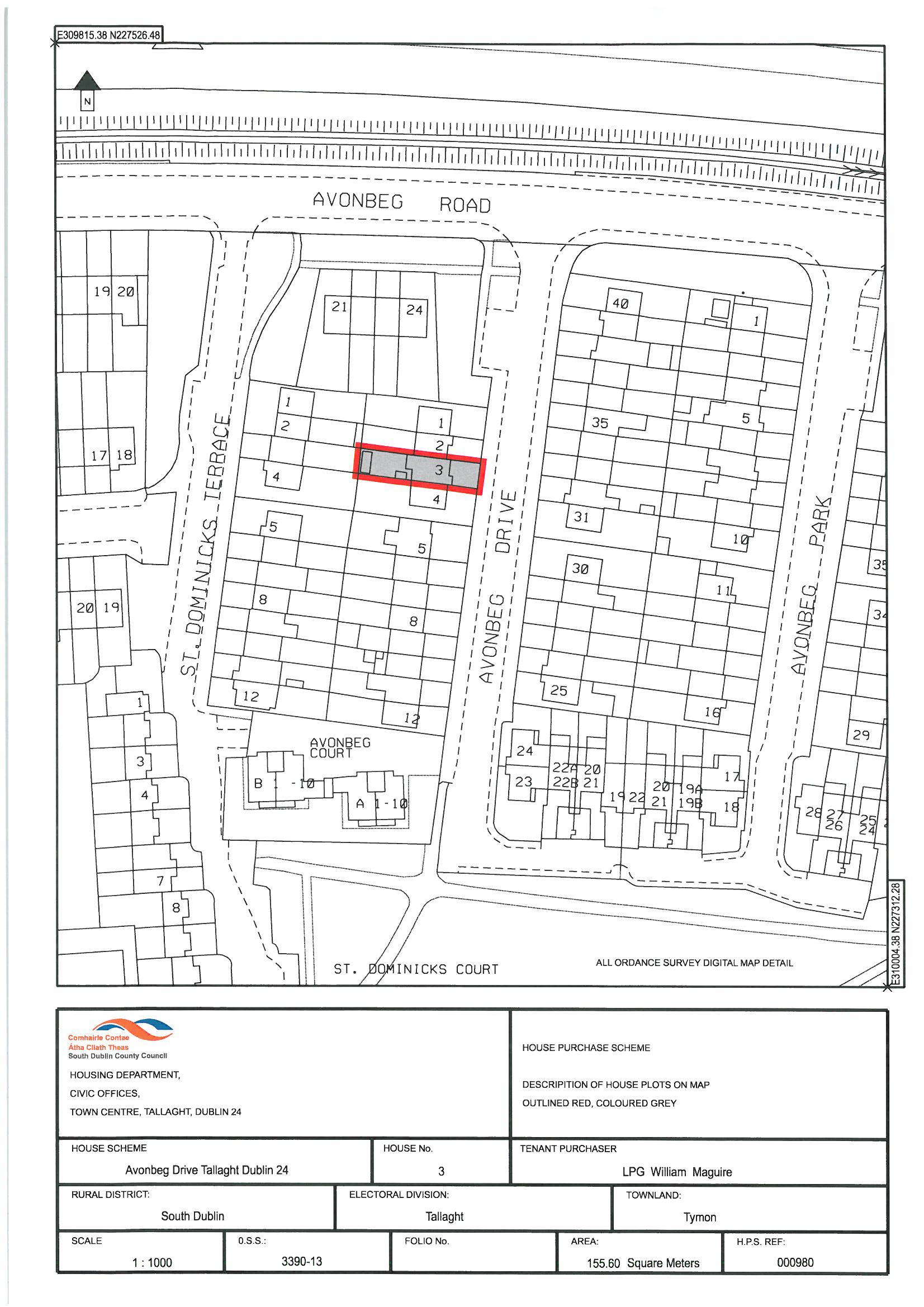
b) Disposal of Fee Simple Interest in Former Local Authority Dwellings at 143 Limekiln Green; 16 Homelawn Avenue; 3 Avonbeg Drive


a) Proposed Disposal of Affordable Dwellings

(no reports)


c)  Revised Disposal of Land at Mayfield Park, Clondalkin, Dublin 22 for the provision of an ESB Sub-Station.


d)   Proposed disposal of land at Old Court Mill, Tallaght, Dublin 24 for the provision of an ESB Sub-Station.


e) Proposed disposal of plot of land adjacent to 14 Castle Park, Tallaght, Dublin 24 to Ms Rosemary Boyle and Mr. Barry Kavanagh


f) Proposed disposal of plot of land adjacent to 18 Castle Park, Tallaght, Dublin 24 to Ms Christina Duffy and Mr. John Barrett


g)  Proposed Disposal Of Lands Containing 10 Designated Housing Units And 1 Office/Staff Unit At Valhalla, Watery Lane, Clondalkin, Dublin 22 To Clanmil Ireland

H-I (8)
Submitted by:
Community Directorate
Responsibility:
Willie Sheils

COMMUNITY SAFETY FORUM UPDATE

(circulated herewith)

H-I (9)
Submitted by:
Mary Maguire
Responsibility:
Nuala Comerford

AUDIT COMMITTEE 2011 ANNUAL REPORT

(circulated herewith)

H-I (10)
Submitted by:
Community Directorate
Responsibility:
Clodagh Henehan

a)   UNAUDITED ANNUAL FINANCIAL STATEMENT 2011

b)   AUTHORISATION OF ADDITIONAL EXPENDITURE 2011

(all circulated herewith)

H-I (11)
Submitted by:
Community Directorate
Responsibility:
Community Directorate

FILLING OF NON-ELECTED MEMBER VACANCY ON SPCs

i)    Arts, Culture, Gaeilge, Education & Libraries SPC

ii)   Environment SPC

(all circulated herewith)

H-I (12)
Submitted by:
Community Directorate
Responsibility:
Community Directorate

SDCC  REPRESENTATION  ON  BOARD  OF  DODDER  VALLEY  PARTNERSHIP

(circulated herewith)

H-I (13)
Submitted by:
Dara Larkin
Responsibility:
Paul Hogan, Dara Larkin

Correspondence

Cor (1)
Submitted by:
Community Directorate
Responsibility:
Community Directorate

Ministerial

(i)  Letter, dated 8th March 2012, from Minister for Transport acknowledging SDCC's motion (M3/0212) and referring correspondence to NTA;

(ii)  Letter, dated 9th March 2012, from National Transport Authority regarding motion to reverse increase in bus fares;

(iii) Supporting documentation from NTA in relation to consideration of application for increases in fares from Dublin Bus, Bus Eireann, Irish Rail, RPA (Luas).

Cor (2)
Submitted by:
Community Directorate
Responsibility:
Community Directorate

Ministerial

(i)  Letter, dated 27th March 2012, from Minister for Housing regarding Question in relation to cuts in funding to Community Safety Fora (Q3/0212)

(ii) Letter, dated 3rd April 2012, from Minister for Housing regarding Motions in relation to cuts in funding to Community Safety Fora (M1/6/9/13/0212)

Cor (3)
Submitted by:
Community Directorate
Responsibility:
Community Directorate

Letter, dated 5th March 2012, from South Tipperary County Council regarding Under-Age Drinking and Abuse of Alcohol

Cor (4)
Submitted by:
Community Directorate
Responsibility:
Community Directorate

Letter, dated 22nd March 2012, from North Tipperary County Council to Minister for Justice calling for a National Programme of Restorative Justice

Motions

Mot (1)
Submitted by:
Councillor C. Jones, Councillor C. Bond
Responsibility:
Community Directorate

MAYOR'S BUSINESS

That this Council Condemns the Cuts in allowances to Adults with Special Needs who are participating in employment services at Cheeverstown.  Council calls upon management at Cheeverstown to reverse the cuts, Council also Calls upon the Minister for Health to Intervene in the matter.

Mot (2)
Submitted by:
Councillor W. Lavelle
Responsibility:
Frank Nevin

That this Council calls on the Manager to actively engage with Kildare County Council, NAMA and the relevant government departments to examine if lands at Weston Airport can be acquired into public ownership; noting that it would be grossly unjust for a private party to gain ownership of this land for a price which represents only a small fraction of the costs incurred by the taxpayer in significantly writing-down the value of loans held against this land.

Mot (3)
Submitted by:
Councillor D. Looney
Responsibility:
Michelle Galvin, Tommy Kavanagh

That this Council supports the roll-out of publicly-accessible, free Wi-fi broadband to more Council-run facilities in the SDCC area, including, but not limited to, parks and community facilities.

Mot (4)
Submitted by:
Councillor J. Lahart, Councillor T. Gilligan, Councillor E. Walsh 2009
Responsibility:
Mary Maguire

That this Council agrees that the national flag ought to fly on all municipal  buildings of significance in the county

Mot (5)
Submitted by:
Councillor E. Higgins
Responsibility:
Colm Ward

That the Manager provide a detailed report on the possibility of facilitating a monthly dry recyclable waste collection in each local electoral area. This service would provide local residents with the opportunity to drop off recyclables for free and this waste could be recycled in the Ballymount facility. This service would be accessible to those who cannot travel to Ballymount regularly and those who are not currently availing of curb-side collection services provided by private companies and would be in-line with Government policy on the issue.

Mot (6)
Submitted by:
Councillor B. Bonner
Responsibility:
Maire Ni Dhomhnaill, Sorcha O'Brien

That this Council fully endorses and supports the Council’s Social Credit Scheme which rewards community groups who improve their environment by carrying out pro-environmental actions, and asks that the Manager outline her proposals to ensure that sufficient resources are in place to ensure that the scheme can continue to bring benefits to our communities particularly in light of the proactive approach being taken at local level in environmental initiates such as Tidy Towns etc.

Mot (7)
Submitted by:
Councillor M. Devine
Responsibility:
Mary Maguire

That this Council expresses its dismay at the lack of filling two fundamental Garda positions of Inspector & Chief Inspector and convey to the Commissioner that this situation is insupportable

Mot (8)
Submitted by:
Councillor G. O'Connell
Responsibility:
Paul Hogan

Given the emphasis given to Tourism in the National Recovery Plan and following on the very positive recent presentation by South Dublin Tourism, that this Council now proceed to formulate an Asset Management Plan to sustain, promote and actively manage sensitive landscapes and habitats, walking routes and linkages between the urban, rural and mountain areas as proposed in the 2010 – 2016 County Development Plan at 1.3.36.xiii

Mot (9)
Submitted by:
Councillor W. Lavelle
Responsibility:
Colm Ward

That this council requests a review of the workings of the Operation Crews with a view to implementing more effective and more frequent cleansing of prioritised litter black-spots.

Mot (10)
Submitted by:
Councillor E. Walsh 2009
Responsibility:
Mary Maguire

Iarann Comhairleoirí na Comhairle seo ar an Aire Dlí, Cirt agus Cosanta, Alan Shatter TD, Ard-Cheannfort agus Ceannfort a cheapadh sa  Reigiún Cathrach Bhaile Átha Cliath agus i dTamhlacht láithreach.

The Members of this Council request the Minister of Justice and Defence, Alan Shatter TD, to appoint immediately a Chief Superintendent and Superintendent in the Dublin Metropolitan Area and in Tallaght. 

Mot (11)
Submitted by:
Councillor E. Higgins
Responsibility:
Billy Coman, Willie Sheils

That the Manager provide a report on sports clubs in the county in need of development, which could be considered under the long-awaited re-opening of the Sports Capital Grant. Can the report include details on what assistance the Council can provide to groups seeking to apply for funding under this scheme.

Mot (12)
Submitted by:
Councillor T. Gilligan, Councillor J. Lahart
Responsibility:
John Quinlivan

That this council condemns the illegal dumping of Greyhound Waste literature in South Dublin County. Will the manager impose the full rigors of the law on the perpetrators?